È possibile imputare al progetto "Altri progetti di ricerca" le ore impiegate su altre attività di ricerca. In questo modo è possibile esporre nei timesheet il totale delle ore impiegate nella ricerca, sia che siano esse imputate a specifici progetti già registrati in anagrafica, sia che siano impiegate in altre attività di ricerca.
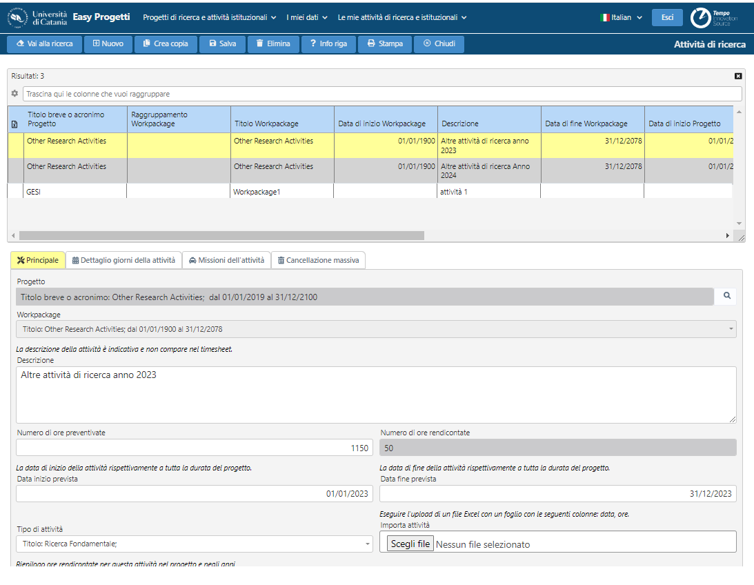
Le altre attività di ricerca possono essere distribuite per anno considerando un massimanle annuo di 1150 ore.

Selezionando l'attività dell'anno che si vuole inserire è possibile schedulare le ore delle attività. Per i dettagli sull'inserimento delle attività fare riferiemnto al link https://unict.freshdesk.com/support/solutions/articles/36000476639-attivit%C3%A0-di-ricerca